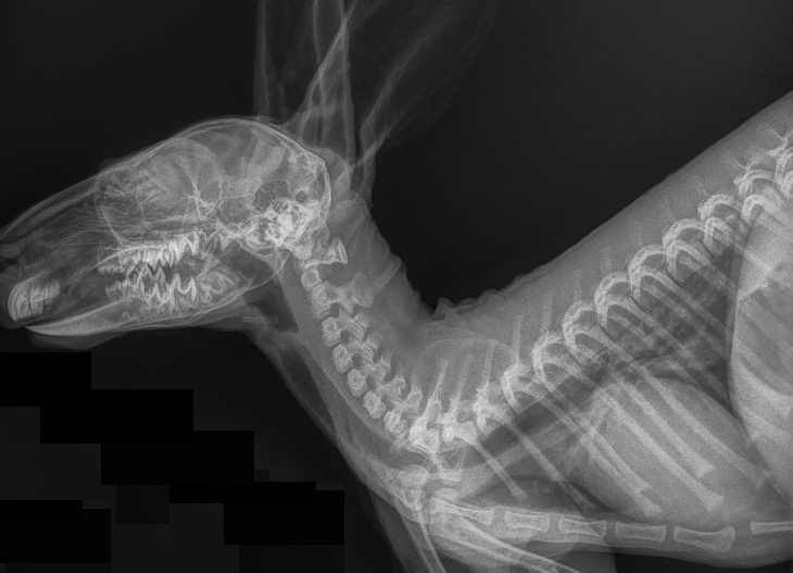
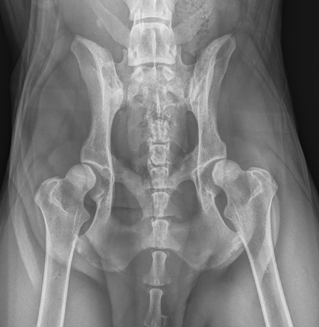
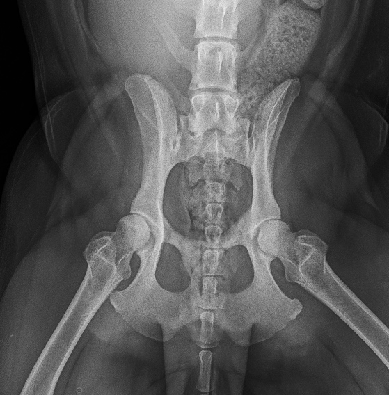
The Whyalla Veterinary Clinic has a new Shimadzu MUX10 Xray machine for high quality radiographs and a new Agfa XD14 Csi Tethered panel to produce outstanding direct digital Xrays from the images from the Shimadzu MUX10 Xray machine.
The XD14 CsI Tethered Panel is an integral part of an Agfa HealthCare’s Instant DR solution, which includes the NX image acquisition software with MUSICA3 processing and detector. These cassette-less and filmless solutions provide a range of workflow benefits that improve quality, productivity and speed up exam time.









